Toàn cảnh siêu bão Ragasa càn quét Hong Kong, sóng biển ập vào khách sạn
Siêu bão Ragasa quét qua đặc khu hành chính Hong Kong (Trung Quốc) sáng ngày 24/9, gây nước biển dâng cao và sóng lớn tràn vào khu vực ven bờ. Khách sạn Fullerton Ocean Park tại khu Aberdeen đã bị sóng đánh tung cửa kính, nước ập thẳng vào sảnh cuốn theo nhiều mảnh vỡ.
Cảnh tượng sóng biển ập vào khách sạn ở Hong Kong (Trung Quốc). Nguồn: SCMP.
Video do tờ Bưu điện Hoa nam Buổi sáng (SCMP) đăng tải cho thấy một người đàn ông bị dòng nước hất văng khi sóng tràn vào khách sạn. Ông Daryl Ng Win-kong, Chủ tịch tập đoàn Sino Group – đơn vị quản lý khách sạn – đã trực tiếp tới kiểm tra thiệt hại và gọi các nhân viên túc trực suốt đêm là “những anh hùng thầm lặng”.
Nhân viên khách sạn lau dọn tiền sảnh sau khi sóng biển ập vào. Ảnh: SCMP.
Ngoài khách sạn, nhiều khu vực khác ở ven biển Hong Kong cũng hứng chịu thiệt hại nặng nề. Tại khu vực Hung Hom, gió mạnh đã đẩy một sà lan vào bờ kè, phá hỏng hàng rào và vương vãi nhiều mảnh vỡ dọc lối đi bộ. Ở khu vực Heng Fa Chuen, điều hòa rơi từ trên cao xuống, cây xanh và cột đèn bị quật ngã chắn lối đi. Sóng biển tràn vào sân chơi, biến nơi đây thành hồ nước. Dù vậy, nhiều người vẫn bất chấp khuyến cáo, ra bờ biển tập thể dục hay đứng xem sóng lớn.
Toàn cảnh gió to và mưa lớn ở Hong Kong do ảnh hưởng của siêu bão Ragasa. Nguồn: SCMP.
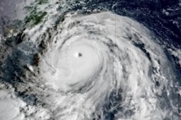
Đài quan sát Hong Kong phát đi cảnh báo cấp 10 – mức cao nhất – lúc 2h40 rạng sáng ngày 24/9, sau đó hạ xuống cấp 8 vào 13h20 cùng ngày. Cơ quan này cho biết siêu bão Ragasa gây ảnh hưởng đáng kể khi cách Hong Kong khoảng 100 km về phía nam. Sóng lớn cùng nước dâng gây ngập cục bộ, mực nước tại cảng Victoria có lúc vượt 3,4 mét, còn tại trạm thủy triều Tai Po Kau ghi nhận mức cao nhất 3,8 mét.
Lực lượng cứu hộ đưa người mẹ và con trai 5 tuổi khỏi hiện trường. Ảnh: SCMP.
Cảnh báo T8 dự kiến duy trì đến 20h tối, trong khi mưa rào, dông mạnh và sóng lớn tiếp tục diễn ra suốt ngày. Chính quyền kêu gọi người dân không ra bờ biển, tránh các hoạt động dưới nước. Dù chiều tối mực nước ven bờ được dự báo sẽ hạ dần, tình hình được đánh giá là vẫn chưa an toàn.
Cảnh ngập lụt ở Hong Kong. Ảnh: SCMP.
Trong diễn biến khác, một gia đình bốn người đã gặp nạn khi ra khu đê chắn sóng ở Chai Wan để xem sóng vào chiều 23/9, ngay sau khi tín hiệu cảnh báo cấp 8 được phát đi. Người mẹ và con trai 5 tuổi bị cuốn xuống biển, đến nay vẫn trong tình trạng nguy kịch. Người cha nhảy xuống cứu cũng bị thương nặng, còn con gái 9 tuổi may mắn thoát nạn.
Người dân Hong Kong được khuyến cáo hạn chế ra đường trong ngày 24/9. Ảnh: SCMP.
Theo SCMP, tính đến trưa ngày 24/9, hơn 816 người đã tìm tới 50 nơi trú ẩn tạm thời trên khắp Hong Kong. Cơ quan chức năng cũng tiếp nhận 437 báo cáo cây đổ, 15 vụ ngập lụt và một vụ sạt lở đất. Tổng cộng 62 người bị thương phải nhập viện điều trị do ảnh hưởng của siêu bão Ragasa, theo số liệu từ Cơ quan Y tế Hong Kong.
Nguồn: [Link nguồn]
-24/09/2025 14:50 PM (GMT+7)



