Sau bão Ragasa, người dân Macau (Trung Quốc) xuống đường… bắt cá

Sự kiện: Siêu bão Ragasa

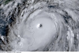
Sau siêu bão Ragasa, thay vì cảnh tượng u ám thường thấy, đường phố Macau (Trung Quốc) lại hóa thành “ngư trường” với cảnh tượng người dân thi nhau… bắt cá.

Chia sẻ
Gửi góp ý
Lưu bài Bỏ lưu bài
Theo Thanh Long - ([Tên nguồn])
Theo dòng sự kiện: Siêu bão Ragasa
Xem thêm
Siêu bão Ragasa Xem thêm
Báo lỗi nội dung
GÓP Ý GIAO DIỆN