Siêu bão Ragasa gió giật cực đại 324 km/h, càn quét dữ dội Philippines
Vệ tinh Himawari-9 của Nhật Bản đã ghi lại loạt hình ảnh đáng chú ý khi siêu bão Ragasa càn quét dữ dội quần đảo Babuyan (thuộc miền bắc Philippines) ngày 22/9.
Video mới về quang cảnh ở Philippines khi siêu bão Ragasa quét qua ngày 22/9. Nguồn: Independent
Siêu bão Ragasa tăng cường sức mạnh cực nhanh vào cuối tuần trước, trở thành siêu bão đầu tiên trong mùa ở Tây Bắc Thái Bình Dương.
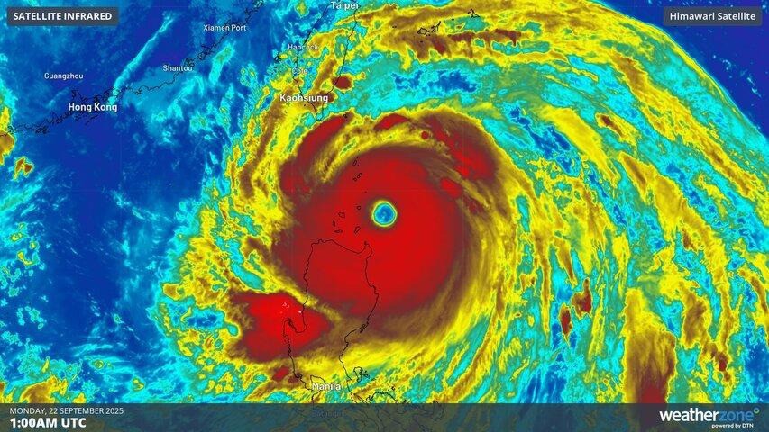
Theo trang Weather Zone, khi tiến sát đảo Babuyan (Philippines) ngày 22/9, siêu bão Ragasa đã đạt quy mô khổng lồ, với “mắt bão” rộng tới 74 km và gió giật cực đại gần tâm bão lên tới 324 km/h.
Ảnh vệ tinh cho thấy mức độ khổng lồ của siêu bão Ragasa. Ảnh: CIRA
Vệ tinh Himawari-9 nhờ vị trí quan sát thuận lợi đã ghi lại hình ảnh siêu bão Ragasa lao thẳng về phía Philippines. Những bức ảnh này phơi bày sức mạnh khủng khiếp của hệ thống bão khổng lồ.
Các hình ảnh từ vệ tinh Himawari-9 cho thấy siêu bão Ragasa quét qua phía bắc Philippines vào ngày 22/9. Ảnh: Vệ tinh Himawari-9
Một trong những chi tiết nổi bật là sự xuất hiện của các “mesovortex”, những xoáy khí quy mô nhỏ hình thành gần thành mắt bão (eyewall). Hiện tượng này chỉ có thể quan sát qua vệ tinh khi mắt bão trong và không bị mây cao che phủ, dấu hiệu cho thấy cơn bão đã đạt trạng thái hoàn thiện và đạt sức mạnh tối đa.
Các xoáy mesovortex trong mắt bão có thể gây ra sức gió cực kỳ tàn khốc. Thực tế, cơn gió mạnh nhất từng được đo đạc chính xác trên Trái đất là 407 km/h, xảy ra tại thành mắt bão của siêu bão cuồng phong Olivia năm 1996, quét qua đảo Barrow (Úc). Các chuyên gia tin rằng cơn gió này có liên quan tới một mesovortex.
Theo dự báo, siêu bão Ragasa sẽ di chuyển theo hướng tây trong những ngày tới, ảnh hưởng trực tiếp đến một số khu vực của Philippines, sau đó là Trung Quốc và Việt Nam.
Nguồn: [Link nguồn]
-22/09/2025 16:52 PM (GMT+7)



