Diễn biến mưa bão ở miền Bắc
Từ đêm 24/9, bão Ragasa gây mưa cho Quảng Ninh, Lạng Sơn, Hải Phòng. Từ khoảng trưa 25/9, mưa tăng dần và mở rộng phạm vi ra khu vực đồng bằng Bắc Bộ và Tây Bắc Bộ, gồm thủ đô Hà Nội, kéo dài đến khoảng 26/9.
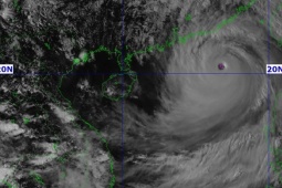
Vào 16h chiều nay (24/9), tâm bão Ragasa cách Móng Cái (Quảng Ninh) khoảng 450km về phía đông với sức gió mạnh nhất cấp 13 (134–149 km/h), giật cấp 16.
Dự báo trong đêm nay, bão di chuyển theo hướng tây, mỗi giờ đi được khoảng 20km, đi qua bán đảo Lôi Châu của Trung Quốc, vào vịnh Bắc Bộ nước ta, do ma sát với đất liền và tác động của không khí lạnh khô, bão suy yếu nhanh. Đến 4h sáng 25/9, khi bước vào vịnh Bắc Bộ, cách Móng Cái khoảng 180km về phía đông, bão chỉ còn cấp 10, giật cấp 12.
Từ sáng đến chiều 25/9, bão tiếp tục di chuyển nhanh theo hướng tây, đi qua vịnh Bắc Bộ vào đất liền Quảng Ninh – Hải Phòng khoảng trưa 25/9 và tiếp tục suy yếu thành áp thấp nhiệt đới. Đến 16h chiều 25/9, tâm áp thấp nhiệt đới trên đất liền Quảng Ninh với sức gió cấp 7, giật cấp 9.
Dự báo mới nhất về đường đi của bão Ragasa.
Trong tối và đêm 25/9, áp thấp nhiệt đới di chuyển theo hướng tây, đi qua Hà Nội, Phú Thọ sang Tây Bắc Bộ và suy yếu thành một vùng áp thấp. Đến 4h sáng 26/9, tâm vùng áp thấp trên khu vực Tây Bắc Bắc Bộ với cường độ dưới cấp 6.
Theo ông Hoàng Phúc Lâm, Phó Giám đốc Trung tâm Dự báo Khí tượng Thuỷ văn Quốc gia, tỉnh Quảng Ninh sẽ có gió mạnh dần lên kể từ ngày 25/9 với cường độ mạnh nhất cấp 8 - 9, giật cấp 10 – 11. Hải Phòng, Lạng Sơn, Hưng Yên, phía đông của Bắc Ninh có thể có gió mạnh cấp 7 – 8, vùng đồng bằng Bắc Bộ, trong đó có Thủ đô Hà Nội có thể có gió cấp 6.
Dự báo đỉnh điểm mưa ở miền Bắc tập trung trong ngày và đêm 25/9.
Về mưa, từ đêm 24/9, Quảng Ninh, Lạng Sơn, Hải Phòng bắt đầu xuất hiện mưa dông rải rác, từ trưa 25/9, khu vực đồng bằng Bắc Bộ, Tây Bắc Bộ, trong đó có Thủ đô Hà Nội mưa tăng dần. Mưa cũng mở rộng ra Thanh Hoá - Nghệ An trong ngày 25-26/9.
Dự báo tổng lượng mưa ở miền Bắc, Thanh Hoá và Nghệ An từ đêm 24/9 đến hết đêm 26/9 khoảng 150-300mm, có nơi trên 450mm. “Chúng tôi đặc biệt lưu ý, mưa lớn có thể xảy ra ở phần sườn đông của dãy Hoàng Liên Sơn thuộc hai tỉnh Lào Cai và Yên Bái cũ”, ông Lâm nói. Đây là khu vực có nhiều hồ chứa thuỷ điện hoạt động.
Do mưa lớn kéo dài, dự báo từ ngày 25/9 đến 27/9, trên các sông ở khu vực Bắc Bộ, Thanh Hóa, Nghệ An có khả năng xuất hiện một đợt lũ.
Đỉnh lũ trên sông Thao và các sông nhỏ có khả năng lên mức BĐ2-BĐ3, đỉnh lũ trên sông Lô, thượng lưu sông Thái Bình, sông Hoàng Long, sông Bưởi, thượng lưu sông Mã lên mức BĐ1-BĐ2, có sông trên BĐ2, nguy cơ ngập úng nơi trũng, thấp, lũ quét trên các sông, suối nhỏ và sạt lở đất trên sườn dốc.
Nguồn: [Link nguồn]
-24/09/2025 18:46 PM (GMT+7)

