Video: Bão sức gió 160 km/giờ đổ bộ, cuốn trôi cây cầu ở vùng lãnh thổ Mỹ
Bão Fiona đổ bộ lên đảo Puerto Rico, vùng lãnh thổ Mỹ ở biển Caribe vào chiều ngày 18/9 (giờ địa phương), gây ra thiệt hại trên diện rộng và gây mất điện hoàn toàn trên đảo.
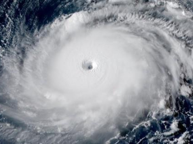
Trung tâm Bão Quốc gia Mỹ (NHC) thông báo bão Fiona đổ bộ bờ biển phía Tây Nam của Puerto Rico với sức gió gần 160 km/giờ. Cơn bão sau đó di chuyển theo hướng tây bắc với tốc độ 14 km/giờ.
Toàn bộ hòn đảo với số dân 3,2 triệu người sống trong cảnh mất điện. Bão lớn đã cuốn trôi một cây cầu mới được xây dựng, cảnh sát Puerto Rico cho biết.
Video do báo Anh Daily Mail, đăng tải, cho thấy nước dâng lên đến mặt cầu, sau đó cuốn trôi hoàn toàn cây cầu.
Nước dâng cao trong bão lớn ở Puerto Rico.
Hôm 18/9, Tổng thống Mỹ Joe Biden đã ban bố tình trạng khẩp cấp quốc gia. Các bến cảng ở Puerto Rico tạm thời đóng cửa còn các chuyến bay bị hoãn.
Việc ông Biden ban bố tình trạng khẩp cấp quốc gia cho phép Cơ quan Quản lý Khẩn cấp Liên bang (FEMA) điều phối các nỗ lực cứu trợ thảm họa và thực hiện các biện pháp bảo vệ khẩn cấp, Nhà Trắng giải thích.
Bộ trưởng Năng lượng Mỹ Jennifer Granholm nói các quan chức của Bộ sẽ tới Puerto Rico để hỗ trợ các nỗ lực "khắc phục hậu quả" khi tình hình đã an toàn.
Thống đốc Puertico Rico, Pedro Pierluisi nói hòn đảo bị mất điện hoàn toàn vào lúc 2 giờ chiều (giờ địa phương), hơn một giờ trước khi bão đổ bộ.
Cây cầu bị nước lũ cuốn trôi.
Ông Pierluisi nói trường học và các cơ quan chính phủ vẫn sẽ đóng cửa trong ngày 19/9. "Thiệt hại chúng tôi ghi nhận là thảm khốc", ông Pierluisi nói.
Luma, cơ quan phân phối điện ở Puerto Rico, nói mạng lưới điện chỉ có thể được khôi phục hoàn toàn sau vài ngày tới. Trước mắt, Luma sẽ ưu tiên khôi phục điện lưới cho bệnh viện và các dịch vụ khẩn cấp khác.
Nhiều trung tâm y tế trên đảo đã phải chạy máy phát điện dự phòng, nhưng cũng không duy trì được lâu.
Toàn bộ đảo Puerto Rico đã rơi vào cảnh mất điện.
Đến tối ngày 18/9, nhiều nơi trên đảo ghi nhận lượng mưa lên tới 38cm và nhà chức trách đã ban hành cảnh báo lũ quét.
Nhật Bản đã phát cảnh báo đặc biệt về cơn bão Nanmadol, được đánh giá là cơn báo "nguy hiểm nhất", với khu vực tỉnh Kagoshima.
Nguồn: [Link nguồn]



