Siêu bão Sinlaku đổi hướng, liệu có vào Biển Đông?
Cơ quan khí tượng đưa ra nhận định về đường đi của siêu bão Sinlaku, đồng thời dự báo xác suất siêu bão đi vào Biển Đông.
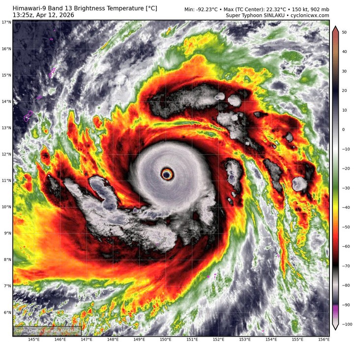
Sinlaku đã mạnh cấp siêu bão với cường độ cấp 16, giật trên cấp 17 vào tối qua (12/4). Đây là cơn bão thứ 4 hoạt động trên khu vực Tây Bắc Thái Bình Dương và là siêu bão đầu tiên hoạt động trên khu vực này trong mùa bão lũ năm nay. Sinlaku cũng là một trong số rất ít cơn siêu bão xuất hiện ngay trong tháng 4.
Sau khi mạnh lên thành siêu bão, siêu bão Sinlaku sẽ đổi hướng di chuyển lên phía Bắc, sau đó nhiều khả năng tiếp tục đổi hướng một lần nữa thành hướng Bắc Đông Bắc vào khoảng ngày 16-17/4 và di chuyển tới vùng biển phía Đông của Nhật Bản, cường độ sẽ giảm cấp dần.
Sinlaku là một trong số rất ít cơn siêu bão xuất hiện ngay trong tháng 4. (Nguồn: NCHMF)
Hiện tại, các dự báo bão đều cho thấy bão không có khả năng đi vào khu vực Biển Đông. Trung tâm Dự báo khí tượng thủy văn vẫn đang theo dõi sát diễn biến của siêu bão đầu mùa này.
Trung tâm Dự báo khí tượng thuỷ văn quốc gia nhận định, đây là cơn bão đầu tiên trong năm 2026 đạt cường độ này, đồng thời là lần đầu xuất hiện trong tháng 4 kể từ bão Surigae (2021) và chỉ là lần thứ ba kể từ năm 1977.
Sinlaku cũng là cơn bão mạnh nhất thế giới trong năm 2026 (tính đến thời điểm hiện tại), vượt qua bão Maila ở khu vực Úc.
Theo dự báo của cơ quan khí tượng, từ tháng 4-6, bão hoặc áp thấp nhiệt đới hoạt động trên khu vực Biển Đông và ảnh hưởng trực tiếp đến đất liền tương đương trung bình nhiều năm (trung bình nhiều năm trên Biển Đông 1,8 cơn, đổ bộ vào đất liền 0,3 cơn).
Trong 3 tháng tiếp theo (tháng 7-9), hoạt động của bão hoặc áp thấp nhiệt đới trên Biển Đông và đổ bộ vào đất liền nước ta cũng ở mức tương đương trung bình nhiều năm với 6,5 cơn trên Biển Đông, đổ bộ vào đất liền 2,9 cơn.
Các đợt mưa vừa, mưa to có khả năng xuất hiện ở Bắc Bộ, Bắc Trung Bộ, cao nguyên Trung Bộ và Nam Bộ trong thời kỳ dự báo, nguy cơ gia tăng các hiện tượng thời tiết cực đoan như dông, lốc, sét, mưa đá và gió giật mạnh trên cả nước.
Tối 12/4, bão Sinlaku đang hoạt động ngoài khơi xa của Philippines đã mạnh lên thành siêu bão, trở thành cơn bão mạnh nhất thế giới từ đầu năm 2026.
Nguồn: [Link nguồn]
-13/04/2026 07:25 AM (GMT+7)
