Biển Đông sắp đón bão 15, hướng về Bình Định – Bình Thuận cũ
Sáng sớm nay (24/11), vùng áp thấp trên vùng biển phía đông Philippines đã mạnh lên thành áp thấp nhiệt đới. Dự báo đêm mai vào Biển Đông, hướng về khu vực Bình Định – Bình Thuận cũ, nơi vừa hứng chịu mưa lũ kỷ lục.
Xuất hiện dấu hiệu siêu bão số 14 ngay sau bão Kalmaegi
Ngay sau khi bão Kalmaegi rời khỏi Philippines, một áp thấp nhiệt đới mới bắt đầu hình thành ngoài khơi đông bắc đảo Mindanao, dự đoán sẽ tiến vào Philippines vào cuối tuần này.
Ban Chỉ đạo Phòng thủ dân sự quốc gia có công điện về ứng phó bão Kalmaegi
Tối 4-11, Ban Chỉ đạo Phòng thủ dân sự quốc gia có công điện về việc triển khai các biện pháp ứng phó khẩn cấp với bão Kalmaegi.
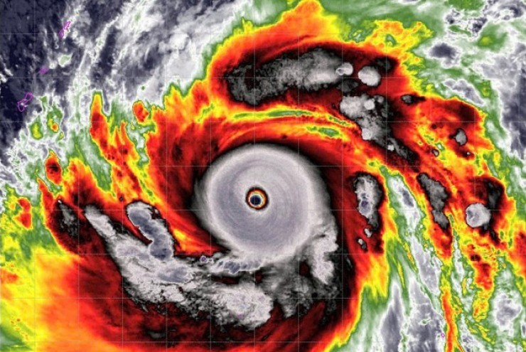
Bão Kalmaegi rất mạnh, Việt Nam quyết định phát tin bão khẩn cấp
Các chuyên gia đánh giá bão Kalmaegi di chuyển tương đối nhanh, các dự báo hiện tại cho thấy bão rất mạnh.
Dự báo mới nhất: Bão Kalmaegi có thể vẫn giữ cấp ‘cuồng phong’ khi ở trên vùng biển Đà Nẵng - Khánh Hòa
Dự báo khoảng sáng ngày 5-11, bão Kalmaegi sẽ đi vào Biển Đông và trở thành cơn bão số 13 trong năm 2025.
-
Tình huống oái oăm sau khi chuyển căn nhà xây nhầm ở Hải Phòng về đúng vị trí -
Danh tính kẻ vi phạm giao thông đẩy đại uý CSGT vào đầu xe tải -
Ai đang đứng sau cuộc săn lùng loài gỗ "vô danh" có giá đến 3 triệu đồng/kg ở Quảng Trị? -
Khởi tố đối tượng đẩy CSGT vào đầu xe tải: Hành vi giết người có động cơ đê hèn
Tin tức trong ngày
Bắt tạm giam đối tượng lao xe vào cảnh sát giao thông ở Hải Phòng
Khi lực lượng công an ra tín hiệu dừng mô tô để kiểm tra nồng độ cồn, Huy lao thẳng xe vào một...
Sắp khởi công dự án Trục đại lộ cảnh quan sông Hồng 855.000 tỉ đồng
Tổng mức đầu tư sơ bộ của dự án đầu tư xây dựng Trục đại lộ cảnh quan sông Hồng tổng thể khoảng...
Người đẩy đại úy CSGT vào đầu xe tải từng nhốt công an xã trong nhà
Trước khi đẩy đại úy CSGT vào đầu xe tải đang lao tới, Đặng Từ Thịnh đã từng chống đối, nhốt...
TP Huế: Xuất hiện hố sụt chưa rõ nguyên nhân trên quốc lộ
Một hố sụt chưa rõ nguyên nhân trên Quốc lộ 49, cơ quan chức năng đã khắc phục tạm, đặt biển...
Diện mạo hiện đại của nhà ga T2 Nội Bài sau mở rộng
Hà Nội - Sau mở rộng với mức đầu tư gần 5.000 tỷ đồng, nhà ga T2 Nội Bài được lắp hệ thống soi...
Lái xe vi phạm nồng độ cồn cố thủ trên xe, liên tục gọi ‘trợ giúp ’
Nhiều lái xe khi đến chốt kiểm soát nồng độ cồn và ma túy có hành vi không hợp tác, chống đối...
Đầu ô tô bẹp dúm sau tai nạn, huy động xe cẩu cứu tài xế mắc kẹt trong cabin
Sau khi tông mạnh vào đuôi xe tải chạy cùng chiều trên cao tốc Vĩnh Hảo - Phan Thiết, một tài...