Siêu bão lớn nhất lịch sử tàn phá biệt thự của ông Trump
Siêu bão mạnh cấp 5 Irma gây ra thiệt hại nặng nề cho đảo quốc St Martin, bao gồm cả biệt thự 11 phòng ngủ của ông Trump tại đây.
Đường phố ở St Martin ngập nặng do tác động của siêu bão Irma.
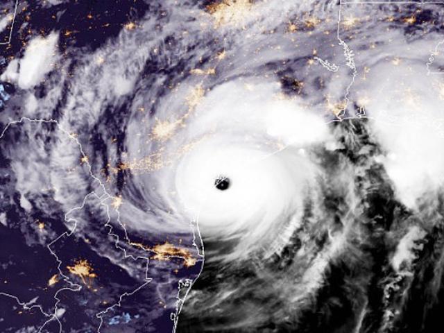
Theo Express, siêu bão Irma được đánh giá là cơn bão mạnh nhất trong lịch sử hình thành ở Đại Tây Dương, với sức gió lên tới 300 km/giờ.
Hòn đảo St Martin thuộc quyền kiểm soát của Hà Lan và Pháp là một trong những khu vực siêu bão Irma tàn phá đầu tiên. Đây là hòn đảo du lịch nổi tiếng với bãi biển đẹp thơ mộng.
Theo nguồn tin của chính phủ Pháp, siêu bão Irma đã tàn phá nhiều tòa nhà ở St Martin. Căn biệt thự nhìn ra bờ biển của Tổng thống Mỹ Donald Trump cũng bị “thiệt hại nặng nề”.
Căn biệt thự Le Chateau des Palmiers của Tổng thống Mỹ Donald Trump ở đảo St Martin trước khi siêu bão Irma tràn qua.
Siêu bão Irma quét qua căn biệt thự 11 phòng ngủ Le Chateau des Palmiers của ông Trump vào ngày 6.9. Căn biệt thự này là tài sản đầu tiên của ông Trump chịu tác động từ hướng di chuyển của siêu bão.
Bộ trưởng Nội vụ Pháp Gerald Collomb nói một số tòa nhà đổ sập do tác động bởi siêu bão. Hình ảnh trên mạng xã hội cho thấy đường sá ngập nước, cuốn trôi nhiều xe cộ.
“Chúng tôi biết rằng có 4 tòa nhà đã bị siêu bão phá hủy. Điều đó có nghĩa là ngay cả những công trình kiên cố nhất cũng bị tàn phá nặng nề”, ông Collomb nói.
Siêu bão Irma tàn phá nhiều tài sản ở khu vực bờ biển St Martin, nơi có nhiều biệt thự nghỉ dưỡng.
Tập đoàn Trump Organization hiện đang theo dõi sát sao tình hình ở St Martin cũng như các tài sản khác của ông Trump tại bang Florida, nơi siêu bão Irma có thể sẽ đổ bộ.
Trước đó, ông Trump viết trên Twitter: “Tổng thống Mỹ Donald J Trump ban bố tình trạng khẩn cấp.”.
Phát ngôn viên tập đoàn Trump Organization, Amanda Miller nói: “Chúng tôi đang chuẩn bị sẵn sàng cho các tài sản của ông Trump ở Florida, đảm bảo rằng mọi thứ sẽ được an toàn”.
Siêu bão Irma dự kiến sẽ đổ bộ vào bang Florida trong ngày 10.9.
Theo thống kê mới nhất, ít nhất 3 người thiệt mạng và hàng chục người khác bị thương tại các hòn đảo Caribe, bao gồm Barbuda, St Barts và St Martin.
Khu nghỉ dưỡng Mar-a-Lago trị giá 175 triệu USD của ông Trump ở Florida có khả năng chịu ảnh hưởng nặng nề bởi siêu bão Irma.
Thống đốc bang Florida Rick Scott đã ra lệnh sơ tán khẩn cấp, yêu cầu người dân di chuyển đến nơi an toàn hơn.
Theo dự báo, siêu bão Irma có thể sẽ đổ bộ vào bờ biển Florida vào lúc 2 giờ chiều ngày 10.9 (giờ địa phương). Siêu bão có thể vẫn duy trì sức gió ở cấp 5 hoặc suy yếu đi một chút khi đổ bộ.
Siêu bão Harvey tràn qua bang Texas ở Mỹ không chỉ ảnh hưởng đến con người mà các loài sinh vật cũng phải tìm cách riêng...



