Siêu bão “quái vật” gió giật 320 km/h đứng im vài ngày, hơn 10.000 người thiệt mạng
Một trong những cơn bão khủng khiếp nhất thế kỷ 20 đã biến vùng đất Trung Mỹ thành "địa ngục trần gian". Siêu bão với sức gió gần 300 km/h – không cuốn đi nhanh chóng như những cơn bão khác, mà dừng lại, trút mưa như thác trong nhiều ngày dẫn đến thảm kịch.
Video: Thiệt hại do siêu bão Mitch gây ra cho Trung Mỹ năm 1998. Nguồn: British Pathe
Đêm định mệnh: Biển và sông nhập một
Laura Isabel Arriola de Guity, 36 tuổi, sống cùng chồng và ba con nhỏ ở làng Barra de Aguan, phía bắc Honduras. Ngôi nhà của họ nằm cách biển Caribe 3 km và cũng chỉ cách sông Aguan hơn 1 km. Khi siêu bão Mitch ập đến cuối tháng 10/1998, biển và sông hòa thành một khối nước khổng lồ, cuốn phăng mọi thứ.
Theo Tampa Bay Times, đêm định mệnh ấy, cả gia đình Arriola cùng hàng xóm leo lên mái nhà tránh lũ. Nhưng một bức tường đổ sập, nước cuồn cuộn ập vào, buộc họ phải di chuyển. Trong khoảnh khắc hỗn loạn, Arriola ôm chặt cậu con trai nhỏ 4 tuổi. Chồng và anh rể cố gắng đưa hai đứa trẻ lớn hơn lên cao.
Dòng nước dữ đã cuốn phăng tất cả. “Tôi cố nổi lên để tìm con, nhưng khi ngẩng đầu thì tôi nhận ra mình đã bị cuốn ra biển”, Arriola kể trong nước mắt. Đó là lần cuối cùng cô nhìn thấy gia đình mình.
Cảnh tan hoang ở Honduras do siêu bão Mitch. Ảnh: iStock
Là một người bơi giỏi, Arriola bám vào cành dừa trôi nổi suốt bốn giờ, sau đó dùng rễ cây, cành và ván gỗ làm bè tạm. Biển đầy xác động vật và rác rưởi, cô tìm thấy dừa, dứa và cam để sống sót. Ban đêm, sóng lớn hất cô khỏi bè nhiều lần, giấc ngủ chập chờn. "Điều tệ nhất là từ một gia đình đầy đủ, tôi đột ngột cô đơn giữa biển khơi, không thấy ai", cô nói.
Ngày 2/11, sau gần một tuần vật lộn, Arriola được một chiếc máy bay phát hiện và sau đó được một trực thăng Anh cứu sống. Cô được đưa vào bệnh viện ở miền bắc Honduras trong tình trạng kiệt quệ vì mất nước, bỏng nắng và hạ thân nhiệt. Các thành viên còn lại trong gia đình cô đều thiệt mạng và chỉ tìm thấy thi thể của chồng và con gái Arriola.
“Quái vật” đứng im trên bầu trời
Câu chuyện của Arriola chỉ là khởi đầu cho cơn thịnh nộ của Mitch, siêu bão được Cơ quan Quản lý Khí quyển và Đại dương Quốc gia Mỹ (NOAA) gọi là "quái vật tháng Mười" – cơn bão mạnh thứ hai trong lịch sử tháng 10 ở Đại Tây Dương, với gió giật hơn 320 km/h.
Ngày 10/10/1998, một sóng nhiệt đới (hay dải nhiễu động khí quyển) xuất phát từ bờ tây châu Phi, di chuyển qua Đại Tây Dương, tăng cường sức mạnh thành áp thấp nhiệt đới khi qua biển Caribe. Ngày 22/10, áp thấp nhiệt đới mạnh lên thành bão và tiếp tục tăng cấp trong 2 ngày sau đó. Rồi nó rẽ hướng tây, tăng tốc chóng mặt nhờ điều kiện thuận lợi, đạt đỉnh cấp 5 (theo thang đo Mỹ) ngày 26/10 với sức gió 290 km/h, theo trang Hurricane Science.
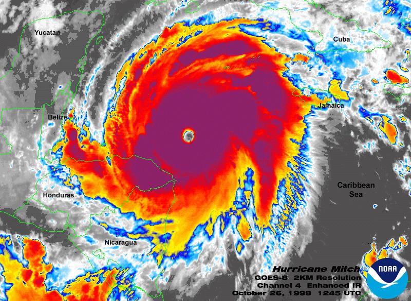
Ảnh vệ tinh hồng ngoại chụp siêu bão Mitch càn quét Trung Mỹ năm 1998. Ảnh: NOAA
Điều khiến Mitch trở nên khủng khiếp không chỉ ở sức gió 290 km/h, mà còn ở việc nó gần như đứng im nhiều ngày trên bầu trời Honduras.
Thường thì bão di chuyển nhanh, gây thiệt hại rồi tan đi. Nhưng từ ngày 28/10/1998, Mitch dừng lại trên vịnh Honduras, hút hơi ẩm từ cả biển Caribe và Thái Bình Dương rồi dội xuống đất liền. Mưa không ngớt, lượng mưa tại nhiều nơi vượt 900 mm chỉ trong vài ngày, theo trang Hurricane Science.
Theo Reuters, chính lượng mưa này đã biến sông ngòi thành lũ dữ, trút xuống những ngôi làng ven sông và gây ra vô số trận lở đất. Cả khu vực rung chuyển bởi lũ quét, núi sạt, làng mạc bị xóa sổ khỏi bản đồ.
Cả vùng Trung Mỹ chìm trong thảm họa
Ngày 29/10, Mitch đổ bộ Honduras với sức gió 160 km/h, kèm triều cường cao 3,6 m. Nhưng tàn phá lớn nhất lại là mưa và lũ.
Theo trang American Quarterly, tại Honduras, hơn 7.000 người chết và khoảng 20% dân số mất nhà cửa. Khoảng 70% cây trồng bị phá hủy, trong đó 80% diện tích chuối – mặt hàng xuất khẩu chủ lực – bị quét sạch. Các tuyến đường bị phá hỏng đến mức “bản đồ giao thông trở nên vô dụng”.
Tại Nicaragua một thảm kịch đặc biệt diễn ra tại núi lửa Casitas. Mưa lớn khiến miệng núi lửa sụp, kéo theo trận lở bùn chôn vùi hàng loạt ngôi làng, khiến khoảng 2.000 người thiệt mạng.
Tại Guatemala, sông Motagua dâng cao, xóa sổ cả làng El Quetzalito. Hàng chục nghìn người phải sơ tán.
Quang cảnh tan nát ở Honduras. Ảnh: La Prensa
Một người đàn ông đứng cạnh ngôi nhà bị tàn phá trong siêu bão Mitch ở Honduras. Ảnh: AFP
Các quốc gia khác như El Salvador, Costa Rica, Belize cũng chịu thiệt hại nặng về nhà cửa và cơ sở hạ tầng, dù số người chết thấp hơn.
Tổng cộng, siêu bão Mitch cướp sinh mạng của hơn 10.000 người. Trang History con đưa con số thiệt mạng lên tới 18.000 người (gồm cả những người mất tích được xác định thiệt mạng sau này). Hơn 1 triệu người mất nhà cửa. Thiệt hại kinh tế toàn khu vực lên tới 5 tỷ USD tính theo mức giá năm 1998.
Ám ảnh với người sống sót
Người dân Honduras đứng nhìn nhà cửa bị phá nát do siêu bão Mitch. Ảnh: BBC
Trong cơn hỗn loạn, có những câu chuyện ám ảnh mà báo chí quốc tế ghi lại.
Tờ New York Times năm 1999 đăng tải câu chuyện bi thương của Mirtha Martinez Arriola, người phụ nữ sống ở Santa Rosa de Aguan – làng ven biển đông bắc Honduras. Sau siêu bão Mitch, Mirtha quay về thì thấy nhà cửa tan hoang, mũ của chồng cô nổi trên nước. Cô khóc không phải vì mất của, mà vì chồng và 3 con của cô bị cuốn ra biển. "Tôi muốn đi xa khỏi đây, để quên hết", Mirtha nói và thể hiện nỗi sợ hãi dai dẳng hai tháng sau siêu bão.
Trong khi đó, tại Nicaragua, một nhân chứng khác nói với Reuters rằng nhiều gia đình bị cuốn trôi khi cố vượt qua những con sông đang phình to thành biển lũ. “Chúng tôi chưa từng thấy dòng nước nào hung dữ như vậy", nhân chứng này kể.
Tại thành phố cảng La Ceiba (Honduras), ông Francisco Diaz – một quan chức bảo vệ trẻ em – cho biết có tới 100 trẻ nhỏ và 30 bà mẹ bị kẹt trên mái nhà khi nước lũ bao vây. “Chúng tôi cầu cứu chính phủ và lực lượng cứu hộ, nhưng họ nói không thể tiếp cận bằng trực thăng hay đường bộ", ông Diaz nói với Reuters.
Ở đảo Guanaja, một đảo thuộc quần đảo Bay Islands (Honduras) nổi tiếng, người dân gọi điện cầu cứu: “75% ngôi nhà đã bị phá hủy, và có ít nhất 14 người chết", Reuters dẫn lời một cư dân kể lại qua radio.
Cảnh tan hoang ở Honduras sau khi siêu bão Mitch quét qua năm 1998. Ảnh: NOAA
Không chỉ cướp đi hàng chục nghìn mạng sống, Mitch còn để lại vết thương kinh tế – xã hội khó lành.
Honduras, nơi chịu hậu quả nặng nề nhất, mất gần như toàn bộ cơ sở hạ tầng quan trọng. Tổng thống Carlos Flores khi ấy thừa nhận với CNN: “75% hạ tầng chính đã bị phá hủy hoặc hư hỏng. Nông nghiệp của chúng tôi hoàn toàn tan nát”.
Theo American Quarterly, nền kinh tế Honduras suy giảm 2% trong năm 1999 – con số tưởng nhỏ nhưng là cú sốc lớn cho một đất nước nghèo. Ở Nicaragua, 2.000 người chết trong thảm họa Casitas để lại một vết thương tinh thần chưa từng có. Hàng trăm nghìn người rơi vào cảnh nghèo đói, mất đất sản xuất.
“Thế kỷ lạc quan” bị chặn đứng
Nhiều khu vực gần như bị xóa sổ do siêu bão Mitch. Ảnh: Picryl
Trước siêu bão Mitch, thập niên 1990 được coi là giai đoạn lạc quan hiếm hoi của Trung Mỹ: Chiến tranh kết thúc, kinh tế tăng trưởng 3,5 – 4% mỗi năm, hợp tác khu vực đang mở rộng , theo trang American Quarterly. Nhưng "quái vật" Mitch đã chặn đứng dòng chảy ấy.
Thay vì đoàn kết, các nước Trung Mỹ lại cạnh tranh gay gắt để giành nguồn viện trợ quốc tế. Hậu quả là nhiều kế hoạch hợp tác an ninh, đầu tư xã hội và du lịch bị đình trệ.
“Không chỉ là một cơn bão, Mitch đã đẩy Trung Mỹ lùi lại nhiều năm", trang American Quarterly nhận định. Đến nay, di chứng của Mitch vẫn còn ám ảnh: nghèo đói, di cư, bất bình đẳng, và sự mong manh trước biến đổi khí hậu.
Sau thảm họa, cũng có một số thay đổi tích cực. Theo NOAA, sau Mitch, Mỹ và Tổ chức Khí tượng Thế giới hỗ trợ lắp đặt hệ thống vệ tinh và mạng lưới cảnh báo sớm cho các nước Trung Mỹ, giúp họ tiếp cận dữ liệu thời tiết nhanh chóng hơn.
Tuy nhiên, giới chuyên gia nhấn mạnh rằng công nghệ chỉ là một phần. Nếu các quốc gia không cải thiện quy hoạch đô thị, không ngăn tình trạng xây dựng ở vùng lũ quét, không trồng lại rừng để giữ đất, thì những cơn bão trong tương lai – có thể mạnh hơn do biến đổi khí hậu – sẽ lại biến Trung Mỹ thành "vùng đất chết".
---------------------
Tháng 9/1900, nước biển dâng cao bất thường, sóng ập vào phố xá nhưng cư dân thành phố Galveston, bang Texas (Mỹ) vẫn thản nhiên chơi đùa, còn giới chức khí tượng thì khăng khăng “không thể có bão” đổ bộ vào thành phố bất chấp cảnh báo từ Cuba. Một ngày sau, siêu bão cấp 4 quật thẳng vào hòn đảo, gây ra thảm họa tự nhiên chết chóc nhất lịch sử nước Mỹ. Mời độc giả đón đọc về siêu bão này ở bài tiếp theo đăng tối 30/9.
Hai cơn bão Imelda và Humberto cùng lúc tung hoành trên Đại Tây Dương vào cuối tháng 9, tiến lại gần nhau và kích hoạt một hiện tượng hiếm gặp đầy thú...
Nguồn: [Link nguồn]
-29/09/2025 18:50 PM (GMT+7)






