Bão số 13 Vamco lao nhanh vào miền Trung, biển động dữ dội, sóng cao 8-10m
Bão số 13 mỗi giờ đi được 15-20km, hướng vào các tỉnh từ Hà Tĩnh đến Thừa Thiên Huế, vùng gần tâm bão sóng cao 8-10m.
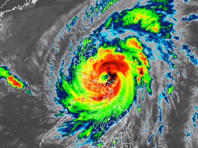
Vị trí và hướng di chuyển tiếp theo của bão số 13 Vamco. (Ảnh: Trung tâm Dự báo KTTVQG)
Theo Trung tâm Dự báo khí tượng thủy văn Quốc gia, chiều nay (12/11) bão số 13 Vamco đang cách quần đảo Hoàng Sa khoảng 640km về phía Đông Đông Nam. Sức gió mạnh nhất vùng gần tâm bão mạnh cấp 12 (115-135km/giờ), giật cấp 15. Bán kính gió mạnh từ cấp 6, giật từ cấp 8 trở lên khoảng 250km tính từ tâm bão; bán kính gió mạnh từ cấp 10, giật từ cấp 12 trở lên khoảng 120km tính từ tâm bão.
Dự báo trong 24h tới, bão di chuyển theo hướng Tây, mỗi giờ đi được 15-20km.
Đến 16 giờ ngày 13/11, vị trí tâm bão ở cách quần đảo Hoàng Sa khoảng 230km về phía Đông Nam. Sức gió mạnh nhất vùng gần tâm bão mạnh cấp 12 (115-135km/giờ), giật cấp 15.
Do ảnh hưởng của bão, ở vùng biển phía Đông khu vực Bắc và giữa Biển Đông có mưa bão, gió mạnh cấp 8-10, vùng gần tâm bão cấp 11-12, giật cấp 15; sóng biển cao từ 4-6m, vùng gần tâm bão 8-10m; biển động dữ dội.
Trong 24 đến 48 giờ tiếp theo, bão số 13 di chuyển chủ yếu theo hướng Tây Tây Bắc, mỗi giờ đi được 15-20km.
Đến 16 giờ ngày 14/11, bão Vamco trên vùng biển ngoài khơi các tỉnh từ Quảng Bình đến Quảng Nam. Sức gió mạnh nhất vùng gần tâm bão mạnh cấp 11 (100-115km/giờ), giật cấp 14.
Trong 48 đến 72 giờ tiếp theo, bão di chuyển theo hướng Tây Tây Bắc, mỗi giờ đi được khoảng 15km, đi vào đất liền các tỉnh từ Hà Tĩnh đến Thừa Thiên Huế và suy yếu dần thành áp thấp nhiệt đới.
Đến 16 giờ ngày 15/11, vị trí tâm áp thấp nhiệt đới ở biên giới Việt – Lào. Sức gió mạnh nhất vùng gần tâm áp thấp nhiệt đới mạnh cấp 6 (40-50km/giờ), giật cấp 8.
Trong 72 đến 96 giờ tiếp theo, áp thấp nhiệt đới di chuyển theo hướng Tây Bắc, mỗi giờ đi được 15-20km và suy yếu dần.
Bão số 13 Vàm Cỏ đang hướng vào miền Trung được đánh giá là cơn bão mạnh, hướng đi dị thường và rất khó đoán định.
Nguồn: [Link nguồn]
