Cận cảnh lặn sâu dưới đáy biển phục hồi san hô
Những kĩ sư trẻ lặn sâu hàng giờ dưới đáy biển để ươm trồng, chăm sóc, phục hồi từng rạn san hô
Video: Cận cảnh cứu hộ san hô dưới đáy biển.
Công việc chăm sóc, phục hồi rạn san hô dưới đáy biển được các cán bộ trẻ thuộc Ban quản lý Khu bảo tồn biển Cù Lao Chàm (TP. Đà Nẵng) đảm nhận hàng chục năm nay.
Những kỹ sư trẻ giỏi chuyên môn lặn nhiều giờ đồng hồ dưới đáy biển.
Với khả năng lặn nhiều giờ, các kỹ sư khảo sát, ươm cấy và phục hồi những rạn san hô ở Cù Lao Chàm.
Làm việc dưới nước vô cùng vất vả, thậm chí nhiều rủi ro
Nhưng với niềm đam mê, những người trẻ gắn bó cả chục năm trời, phục hồi, trồng mới hàng chục ha rạn san hô ở Cù Lao Chàm.
Những vườn ươm san hô dưới đáy biển được hình thành
San hô sau khi chăm sóc trở nên cứng cáp được mang đi gieo ươm ở những nơi san hô bị tẩy trắng
Trồng, phục hồi san hô bị tổn thương
Quá trình trồng và chăm sóc đều được theo dõi, ghi chép cẩn thận làm cơ sở để đánh giá hiệu quả bảo tồn dài hạn.
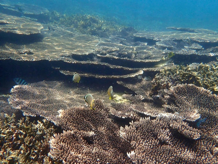
Vườn san hô được chăm sóc hiệu quả
Qua thời gian chăm sóc của các "bảo mẫu" dưới đại dương, các rạn san hô được hồi sinh, cá và nhiều loài sinh vật biển khác cũng kéo tới tạo khung cảnh đẹp vô cùng
( Nguồn ảnh, video: Ban quản lý Khu bảo tồn biển Cù Lao Chàm).
Hình ảnh những rạn san hô ở biển khu vực bán đảo Sơn Trà, TP. Đà Nẵng được anh Đào Đặng Công Trung, trú phường Nại Hiên Đông, quận Sơn Trà lặn xuống...
Nguồn: [Link nguồn]
-09/09/2025 05:30 AM (GMT+7)


















